Beschreibung:
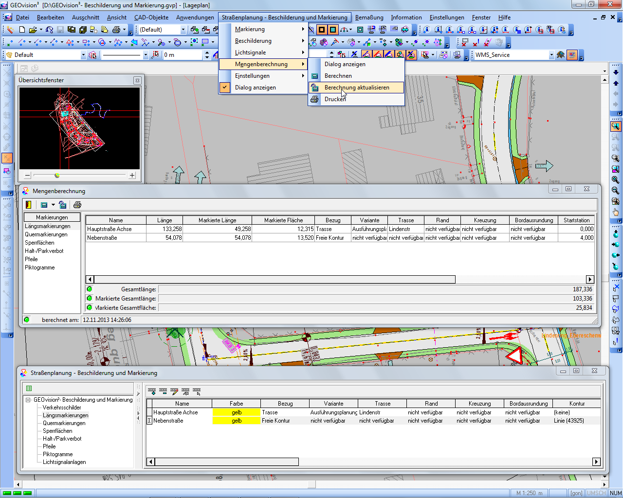
Mit der GEOvision³® Beschilderung und Markierung werden komfortable Funktionen zur Konstruktion von Fahrbahnmarkierungen und Beschilderungen auf der Grundlage der Daten der GEOvision³® Straßenplanung bereitgestellt.
Features:
- Längs- und Quermarkierungen, Sperrflächen und sonstige Verkehrsführungen in Knotenpunktbereichen und knotenfreien Strecken werden automatisch konstruiert. Es besteht aber auch die Möglichkeit, beliebige Konstruktionen manuell einzugeben.
- umfangreiches Sortiment zur Material- und Ausführungsdefinition
- Bibliothek mit Markierungselementen wie Piktogramme und Richtungspfeile
- Es können Lichtsignalanlagen im Kreuzungsbereich platziert werden.
- Verkehrszeichen sind für den Lageplan aus einer Verkehrszeichenbibliothek nach StVO auszuwählen.
- Es können Materialdefinitionen wie Pflasterarten zu Verkehrsflächen zugewiesen werden.
- Farbliche Gestaltung der Verkehrsflächen erfolgt individuell oder nach den Vorgaben der RE.
Highlights:
- Fahrbahnmarkierungen
- Lichtsignalanlagen
- Verkehrszeichen
- Materialdefinitionen
- Mengenberechnung
- Längsmarkierung im Verhältnis 1:1 mit Strichlänge 1 m

